Super Typhoon Sinlaku Delivers Catastrophic Direct Strike to Saipan Tonight With 175 MPH Gusts Putting 47,000 Americans in Immediate Danger Across the Mariana Islands
SAIPAN, MARIANA ISLANDS — Super Typhoon Sinlaku is delivering a catastrophic and direct strike to Saipan tonight, April 14, 2026, threatening the lives of 47,000 Americans with wind gusts exceeding 175 MPH as the storm’s destructive core makes landfall across the Mariana Islands. This is one of the most dangerous storm strikes the island has faced and every single person on Saipan must be sheltered in the strongest structure available right now. There is no more time to prepare. The storm is here.
Super Typhoon Sinlaku Packing 175 MPH Gusts at Landfall
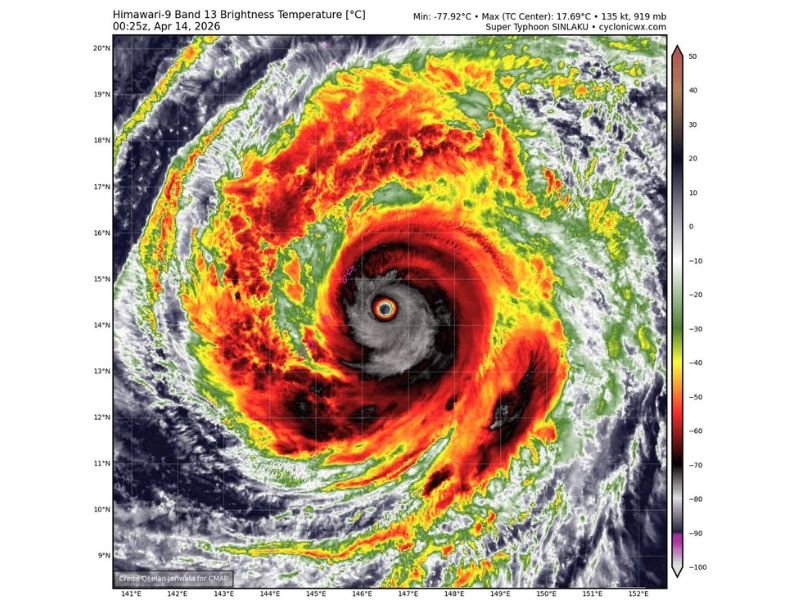
Satellite imagery captured at 00:25Z on April 14, 2026 from the Himawari-9 satellite shows Super Typhoon Sinlaku as a terrifyingly organized and powerful storm with a clearly defined and symmetric eye wall surrounded by a massive field of deep convection. The storm is currently tracking at 135 knots with a central pressure of 919 millibars, placing it firmly in the upper tier of destructive tropical cyclones.
Wind gusts of over 175 MPH are expected as Sinlaku’s core of destructive winds arrives over Saipan tonight. At this intensity, structures that are not built to the highest engineering standards face catastrophic damage or complete destruction. Every person on the island must be inside the strongest concrete structure they can find and must remain there until the storm passes completely.
Saipan Has Faced This Before but Tonight Is the Ultimate Test
The Mariana Islands are no strangers to catastrophic typhoon strikes. Saipan was devastated by Super Typhoon Yutu, a Category 5 storm, back in 2018. In the years following that disaster, FEMA worked to rebuild the island’s infrastructure significantly stronger to better withstand future storms of this caliber.
Tonight that rebuilt infrastructure faces its ultimate test. The question of whether the strengthened buildings, shelters, and critical systems constructed after Yutu can withstand a storm of Sinlaku’s ferocity will be answered before sunrise. The stakes could not be higher for the 47,000 Americans who call these islands home.
If You Are on Saipan Right Now Take Shelter Immediately
There is only one message that matters for anyone currently on Saipan. Get into the strongest concrete bunker or reinforced structure you can find and do not come out until authorities confirm the storm has passed and it is safe to emerge.
Do not go outside during any perceived lull in the storm. The eye of a typhoon can create a brief period of calm before the back wall of violent winds strikes with equal or greater ferocity.
Keep Saipan and the Mariana Islands in your thoughts tonight. Stay informed at SaludaStandard-Sentinel.com.
